Information
Situation
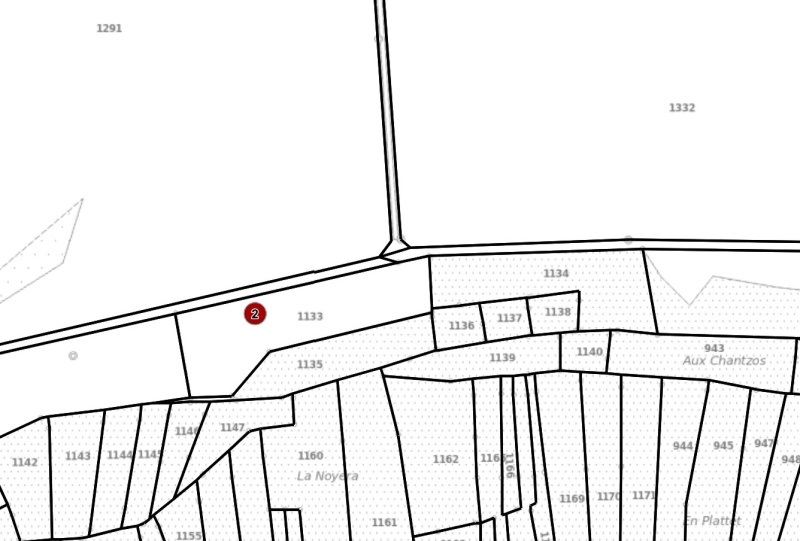
Commune de Mont-Vully, secteur Bas-VullyArticles no 1133 et 1135
Date, heure et lieu de la vente
Le jeudi 12 février 2026 à 10h00, dans la salle de concert de l'Hôtel-de-Ville, Rathausgasse 17, 3280 Morat
Description
Il s'agit d'un champ avec un rucher de 3'272 m2 situé au lieu dit "Chaumont 2 à Sugiez ainsi qu'une forêt dense de 1'697 m2située au lieu dit "La Novera" également à Sugiez.
Estimation de l'office : CHF 16'000.00
Visite
Aucune vision locale n'est prévue.Portail cartographique du canton de Fribourg
Office compétent et contact
Office des poursuites du LacS. Bangerter, PréposéHallwylstrasse 123280 Morat026/305.90.50 ou PoursuitesLac@fr.ch