Les extraits de plan de la mensuration officielle sont disponibles gratuitement.
Plan de la mensuration officielle
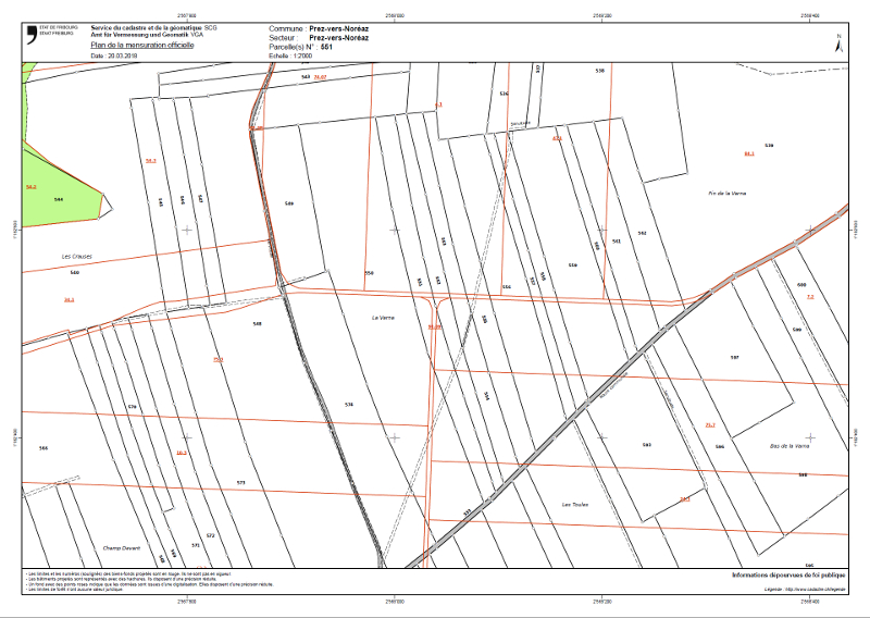
Plan de la mensuration officielle: ce plan est également disponible, dans une qualité moindre, là où on dispose de données analogiques "digitalisées". Il contient également les biens-fonds projetés, qui ne sont pas encore en vigueur, ainsi que les bâtiments projetés.
Les extraits de plan de la mensuration officielle (dépourvus de foi publique) sont disponibles sur Internet à l'adresse web http://geo.fr.ch/plan_mo/ . Ces extraits sont fournis gratuitement.
Publié par Service de la géoinformation
Dernière modification : 15.11.2023